Риба-Ктулху, жук Грета та кишенькова акула: у 2019 році вчені відкрили 11 видів тварин
Вчені відкривають нові види тварин і рослин практично щодня. Найчастіше виявляють невідомих комах (цей клас відрізняється найбільшим біорізноманіттям), але нерідко трапляються нові риби, рептилії, птахи та навіть ссавці - особливо з віддалених і погано вивчених куточків планети.
Подібні відкриття роблять не тільки під час експедицій, а й після вивчення музейних колекцій, стародавніх скам'янілостей, а іноді - в результаті генетичних тестів, коли близькі види складно відрізнити один від одного.
Загалом науці відомо близько 2 мільйонів видів живих організмів: тварин, рослин і грибів. Однак, за підрахунками вчених, ще більше різновидів (близько 6 млн) досі не траплялися біологам і тільки чекають свого відкриття.
Ось кілька найдивовижніших створінь, вперше виявлених або описаних у 2019 році.
1. Кишенькова акула
Ця невелика рибка - лише 14 см у довжину - трохи схожа на кашалота, але насправді це так звана кишенькова акула. Її виловили в Мексиканській затоці ще в 2010 році, але тільки через дев'ять років офіційно визнали новим видом.

Кишеньковою вона називається зовсім не через свій розмір, а через два заглиблення (кишені), розташованих по обидва боки тіла, біля грудних плавців.
2. Рогата агама
На популярному в туристів таїландському острові Пхукет майже не залишилося необжитих місць, однак і там іноді знаходять нові види тварин.

Нещодавно на дереві в місцевому лісі виявили мальовничу ящірку з сімейства агамових, яку так і назвали - "пхукетська рогата деревна агама".
3. Лисокіт (він же - котолис)
Такі пухнасті красені завдовжки приблизно 90 см мешкають на Корсиці. Місцеві жителі давно називають цих диких котів "котолисами" за масивний смугастий хвіст з чорним кінцем.

У минулому році вченим нарешті вдалося зловити кілька особин і вивчити їхню ДНК - з'ясувалося, що це й справді невідомий науці вид котячих. Щоправда, жодного відношення до лисиць корсиканська тварина не має: його найближчий родич - дикий африканський степовий кіт, предок домашніх котів.
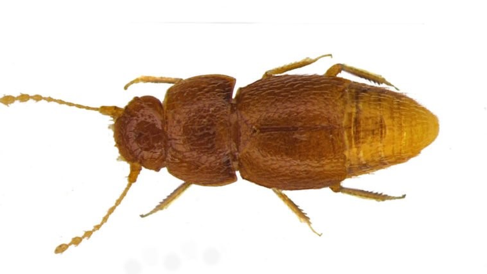
4. Жук Грета
Цього крихітного жучка-шкідника (лише 1 мм в довжину) привезли з Кенії ще наприкінці 1960-х, але понад півстоліття він зберігався в музеї в Лондоні невивченим. І тільки в минулому році співробітник музею Майкл Дарвін виявив, що комаха належить до раніше невідомого виду.

Дарвін вирішив назвати його Nelloptodes gretae - на честь шведської екоактивістки Грети Тунберг.
5. Риба-Ктулху
У річках Амазонії вчені виявили відразу шість нових видів сомиків-анцистрів, які трохи нагадують морське чудовисько Ктулху з творів письменника Говарда Лавкрафта.

Як уточнюють біологи, страхітливі щупальця є тільки на голові у самців і слугують для привернення уваги самиць.
6. Черв'як-каменеїд
Цей дивний молюск відноситься до родини Тередових або "корабельних черв'яків", які отримали таку назву за те, що живляться деревом - особливо корабельним лісом, проїдаючи в ньому глибокі діри.

Однак цей щойно відкритий вид мешкає в прісних водоймах на Філіппінах - і, схоже, харчується камінням. Як саме це відбувається, вчені поки що не розуміють. Можливо, бактерії, які живуть в його травному тракті, здатні розщеплювати вапняк і виробляти поживні речовини.
7. Окулярний квіткоїд
Ця крихітна пташка живе на Борнео - єдиному у світі острові, розділеному між трьома державами: Індонезією, Малайзією і Брунеєм.

Новий вид квіткоїдів харчується переважно омелою і отримав назву "окулярний" через характерні білі відмітини над і під очима.
8. Веселкоголов
Це не дефект фотографії - голова цього вужа дійсно вкрита плямами кольорів веселки, за що журналісти вже прозвали його Зіггі Стардаст.

Змію знайшли в карстових скелях на півночі Лаосу і спочатку вирішили, що веселкоголов живе тільки там. Проте відтоді його виявили ще в одному місці, що підвищує шанси цього виду на виживання.
9. Шерстистий нетопир
Новий вид кажанів, голова та плечі яких вкрита довгою густою шерстю, знайшли у В'єтнамі.

Як вже згадувалося раніше, біологам нечасто трапляються невідомі науці ссавці, однак кажани - в деякому сенсі виняток. Ряд рукокрилих надзвичайно різноманітний і нараховує понад 1300 видів.
10. Тритон-клінгон
А цього мальовничого чорно-червоного тритона виявили в провінції Таїланду Чіанграй.

Журналісти одразу порівняли його з расою клінгонів з фантастичного всесвіту кіносаги "Зоряний шлях".